分譲地の特徴
分譲地概要
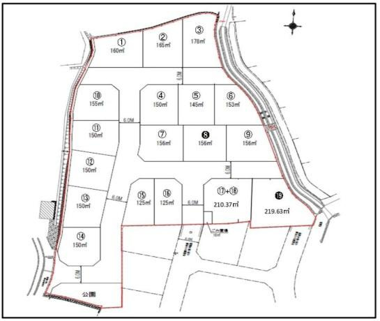
- 物件名
- 和歌山市布施屋分譲地
- 設備
-
- 土地面積 / 坪数
- 132.24㎡ / 40.00坪
- 用途地域
- 第一種住居
- 地目
- 宅地
- 建ぺい率 / 容積率
- 60% / 200%
- 取扱会社
-
- センチュリー21 際
- 和歌山県和歌山市毛革屋丁25番地
- TEL:0120-555-635
- 和歌山県知事 (3) 第3764号
宅地建物取引士
一級ファイナンシャルプランニング技能士
公認 不動産コンサルティングマスター
公認ホームインスペクター(住宅診断士)
耐震診断士
損害保険募集人
一級建物アドバイザー
インテリアデザイナー
一級建築物石綿含有建材調査者
二級建築施工管理技士 - センチュリー21ジャパン加盟店
公益社団法人不動産保証協会会員
公益社団法人全日本不動産協会会員
公益社団法人近畿地区不動産公正取引協議会会員
【売地】物件番号:96234414
情報更新日:2025年11月08日 次回更新予定日:2025年11月22日
その他の分譲地
-
NEW 和歌山市和歌山市岩橋分譲地(10号地の内容)
1,139万円
和歌山県和歌山市岩橋
和歌山線「田井ノ瀬」駅 徒歩19分
建築条件なし、お好きなハウスメーカーで建築できます
-
和歌山市和歌山市中島分譲地 1号地
1,223.9万円
和歌山県和歌山市中島
紀勢本線「宮前」駅 徒歩10分
■駅、スーパー、小学校徒歩圏内!生活環境便利!
■「和歌山南SIC」まで車約7分!アクセス良好!
■大通りから離れた静かな住宅街 -
和歌山市和歌山市直川分譲地(15号地の内容)
720.4万円
和歌山県和歌山市直川
阪和線「六十谷」駅 徒歩23分
全18区画の分譲地
直川小学校まで約700m
建築条件なし -
和歌山市和歌山市岩橋分譲地(A号地の内容)
1,301.94万円
和歌山県和歌山市岩橋
和歌山線「田井ノ瀬」駅 徒歩14分
建築条件なし
JRわかやま線「田井ノ瀬」駅徒歩約14分
-
和歌山市和歌山市新庄分譲地(4号地の内容)
762.37万円
和歌山県和歌山市新庄
和歌山線「紀伊小倉」駅 徒歩3分
JRわかやま線「紀伊小倉駅」近く
約60坪の土地 -
岩出市岩出市西安上分譲地(10号地の内容)
925万円
和歌山県岩出市西安上
和歌山線「岩出」駅 徒歩57分
■建築条件なし、お好きなハウスメーカーで建築OKです
■山崎北小学校すぐ