LINE 売却査定 会員登録 ログイン

橋本市城山台3丁目土地

408万円

和歌山県橋本市城山台3丁目

南海高野線「林間田園都市」駅徒歩24分

南海高野線「御幸辻」駅徒歩35分

南海高野線「紀見峠」駅徒歩36分

価格
408万円
坪単価
7.2万円(57.06坪)
所在地
和歌山県橋本市城山台3丁目
交通

南海高野線林間田園都市」駅 徒歩24分

南海高野線御幸辻」駅 徒歩35分

南海高野線紀見峠」駅 徒歩36分

土地面積(坪数)
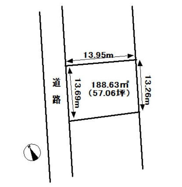
188.63㎡(57.06坪)
建ぺい率 / 容積率
40% / 80%

基本情報

販売区画数
-
総区画数
-
土地面積(坪数)
188.63㎡(57.06坪)
坪単価
7.2万円
私道負担面積
割合
-
セットバック
-
建ぺい率 /
容積率
40% / 80%
高圧線下面積
-
傾斜地部分面積
-
路地状敷地
-
地目
宅地
地勢
-
造成工事
完了予定
-
土地権利
所有権
建築条件
都市計画
非線引区域
用途地域
第一種低層住居専用
接道状況
一方(西 公道 6.0m 間口 13.7m)
国土法届出要否
不要
最適用途
-
その他
法令上の制限
-
取引態様
仲介
現況
更地
引渡条件
-
引渡時期
相談
取引条件の
有効期限
2026年04月21日

設備条件

設備条件
  • 公営水道 / 公共下水
設備(その他)
    -

その他

物件番号
82632901
管理コード
148001-19442
情報更新日
2026年04月07日
次回更新予定日
2026年04月21日
備考
城山小学校/紀見東中学校区

支払いシミュレーション

月々の支払額

※実際の金額と異なる場合があります。

購入希望物件価格
万円
頭金
万円
金利
%
返済額(ボーナス1回分)
万円
返済期間

※ボーナスは自動で年2回分で計算されます。

近隣の物件

  1. 橋本市城山台2丁目 土地

    橋本市城山台2丁目

    - (198.21㎡)

    418万円

  2. 橋本市原田 土地

    橋本市原田

    - (383.00㎡)

    580万円

  3. 橋本市野 土地

    橋本市野

    - (547.70㎡)

    430万円

  4. 高野口町名倉 土地

    橋本市高野口町名倉

    - (401.45㎡)

    7865,000

橋本市城山台3丁目土地

橋本市城山台3丁目土地

408万円

-(188.63㎡)

お気軽にお問い合わせください

LINEからお問い合わせ 無料お問い合わせ

センチュリー21 際

0120-555-635

9:00~19:00

(休:水曜)