分譲地の特徴
分譲地概要
- 物件名
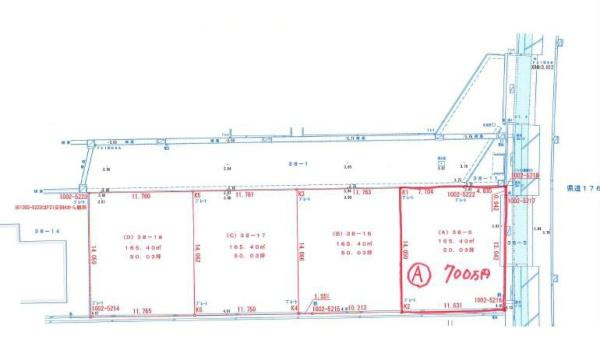
- 和歌山市岩橋分譲地(10号地の内容)
- 設備
-
- 土地面積 / 坪数
- 165.21㎡ / 49.97坪
- 用途地域
- 無指定
- 地目
- 宅地
- 建ぺい率 / 容積率
- 60% / 200%
- 取扱会社
-
- センチュリー21 際
- 和歌山県和歌山市毛革屋丁25番地
- TEL:0120-555-635
- 和歌山県知事 (3) 第3764号
宅地建物取引士
一級ファイナンシャルプランニング技能士
公認 不動産コンサルティングマスター
公認ホームインスペクター(住宅診断士)
耐震診断士
損害保険募集人
一級建物アドバイザー
インテリアデザイナー
一級建築物石綿含有建材調査者
二級建築施工管理技士 - センチュリー21ジャパン加盟店
公益社団法人不動産保証協会会員
公益社団法人全日本不動産協会会員
公益社団法人近畿地区不動産公正取引協議会会員
- 備考
- 放流負担金・境界ブロック代別途必要
埋蔵文化財包蔵地内
【売地】物件番号:95770320
情報更新日:2026年03月07日 次回更新予定日:2026年03月21日
その他の分譲地
-
御坊市御坊市湯川町丸山分譲地(A号地)
500万円
和歌山県御坊市湯川町丸山
紀勢本線「御坊」駅 徒歩19分
JR紀勢本線「御坊」駅徒歩約20分
-
和歌山市和歌山市府中 分譲地(30号地記載)
825万円
和歌山県和歌山市府中
阪和線「紀伊」駅 徒歩23分
■全区画建築条件なし!■幼稚園、小学校まで徒歩約12分
■和歌山北IC近く、粉河加太線沿いの生活便利な好立地分譲地です -
和歌山市和歌山市府中 分譲地(29号地記載)
929万円
和歌山県和歌山市府中
阪和線「紀伊」駅 徒歩23分
■全区画建築条件なし!■幼稚園、小学校まで徒歩約12分
■和歌山北IC近く、粉河加太線沿いの生活便利な好立地分譲地です -
和歌山市神前分譲地(8号地の内容)
960.7万円
和歌山県和歌山市神前
和歌山電鐵貴志川線「神前」駅 徒歩7分
■建築条件なし
■お好きなハウスメーカーで建築できます
■和歌山電鐵貴志川線「神前」駅徒歩約5分
■商業施設が近くに多数あり生活大変便利です
-
和歌山市和歌山市小倉分譲地(22号地)
671万円
和歌山県和歌山市小倉
和歌山線「紀伊小倉」駅 徒歩11分
JR和歌山線「紀伊小倉」駅まで徒歩約10分
-
和歌山市和歌山市布施屋分譲地
740万円
和歌山県和歌山市布施屋
和歌山線「布施屋」駅 徒歩5分
JR和歌山線「布施屋」駅徒歩約5分
建築条件なし